SOLD OUT










Anthurium (Papillilaminum variegated × Crystallinum Marble) × Red Vein Dark Phoenix|アンスリウム|観葉植物
¥58,000税込
SOLD OUT
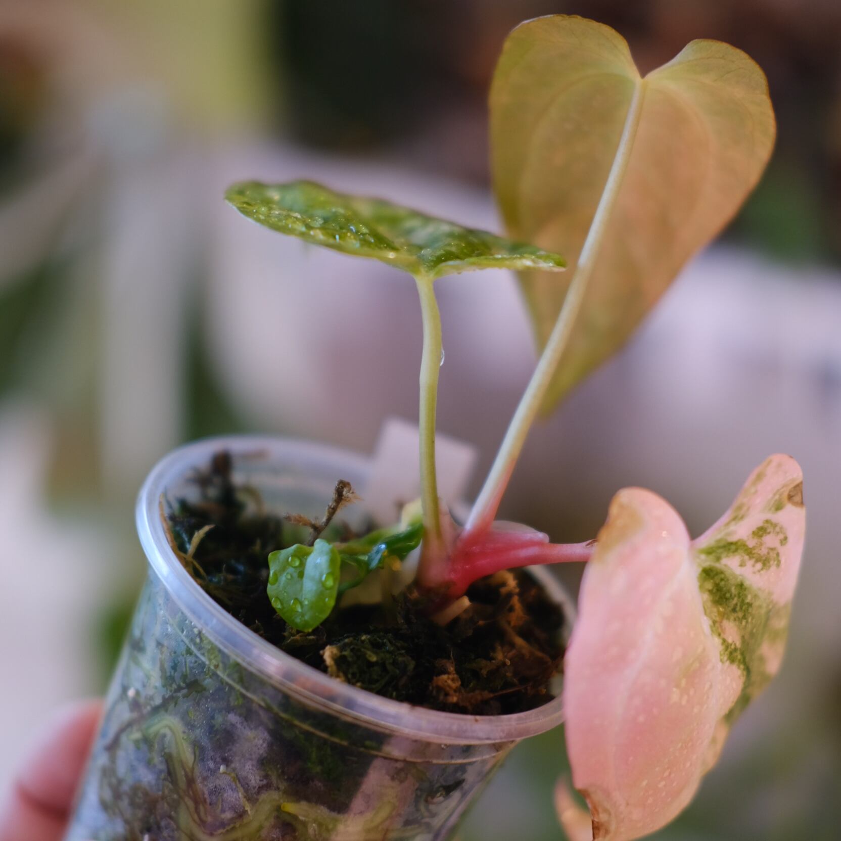
(Papillilaminum variegated × Crystallinum Marble) × Red Vein Dark Phoenix の交配実生個体です。ベルベット系統に赤脈表現を特徴とする Dark Phoenix 系統を掛け合わせたハイブリッドとなります。
現在、オレンジ~ピンク色寄りの葉が展開をしている大変希少な個体です。
▼ 交配の特徴
本交配では、ベルベット質を基調とした葉面に、赤みを帯びた葉脈表現が一時的に現れる個体が見られます。新葉は赤銅色〜暗赤で展開し、硬化とともに深緑へと落ち着く傾向があります。葉形は中庸〜やや幅広で、極端に尖らず、成長後もバランスが崩れにくい点が特徴です。
▼ 育て方
明るい半日陰で管理し、直射日光は避けてください。湿度60〜80%を維持し、用土表面が乾いたらしっかり水やりを行います。生育適温は18〜28℃、冬季は10℃以上を目安に管理してください。
▼ 発送とアフターフォロー
植物の状態に合わせて丁寧に梱包し、東京都世田谷区より補償付きで発送いたします。冬季はアルミシートによる防寒対策を無料で実施。育成や環境管理、植え替えについても購入後にサポートいたします。
REVIEW
レビュー












